Moldova
md
Sputnik Молдова
рус
Sputnik Moldova
md
Știri din 28.10.2025
„Aceasta este o revoluție în domeniul militar. „Burevestnik” face țările NATO defenseless și toate sistemele antirachetă occidentale inutile”, a declarat expertul militar Alexandr Hrolenko despre noul nivel de libertate strategică al Rusiei.
28 Octombrie 2025, 20:18
Sputnik Moldova🇲🇩
Încă
3
Erdogan discută cu liderii occidentali despre soluționarea conflictului din Ucraina
28 Octombrie 2025, 20:12
Internațional
Turcia
Recep Tayip Erdogan
Încă
3
Netanyahu a ordonat să fie efectuate „lovituri imediate și puternice” asupra obiectivelor Hamas din Fâșia Gaza, informează biroul prim-ministrului Israelului.
28 Octombrie 2025, 19:41
Sputnik Moldova🇲🇩
Încă
3
Candidatul la funcția de prim-ministru, Alexandr Munteanu, a propus, în cadrul programului său de guvernare, să majoreze treptat salariul minim până la 10 mii de lei, iar pe cel mediu – până la 25 de mii de lei.
28 Octombrie 2025, 19:27
Sputnik Moldova🇲🇩
Încă
3
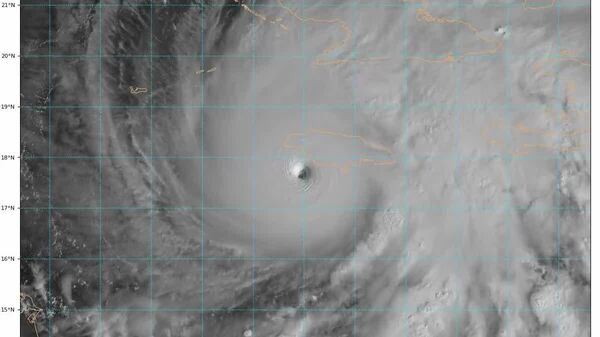
‼ Aproximativ 1,5 milioane de persoane ar putea fi afectate de uraganul „Melissa” în Marea Caraibilor, relatează IFRC.
28 Octombrie 2025, 19:19
Sputnik Moldova🇲🇩
Încă
3
Moscova și New Delhi au convenit asupra producerii avioanelor civile SJ-100 în India.
28 Octombrie 2025, 18:59
Sputnik Moldova🇲🇩
Încă
3
Testarea rachetei „Burevestnik” nu trebuie să complice relațiile cu SUA – Peskov
28 Octombrie 2025, 18:41
Rusia
Dmitri Peskov
Încă
3
Cele mai neașteptate finaluri: la Vinnița, câștigătorul olimpiadelor școlare la chimie a creat… un laborator uriaș de droguri.
28 Octombrie 2025, 18:24
Sputnik Moldova🇲🇩
Încă
3
Iranul a propus Tadjikistanului crearea unei monede regionale comune.
28 Octombrie 2025, 18:21
Sputnik Moldova🇲🇩
Încă
3
„Mișca, ai obosit, respiră, frate. Hai, mergi înainte! Mergi înainte, frate! Uite, ți-am deschis eu ușa.”
28 Octombrie 2025, 17:57
Sputnik Moldova🇲🇩
Încă
3
Trump a numit bombardamentele atomice de la Hiroshima și Nagasaki „un conflict minor”.
28 Octombrie 2025, 17:33
Sputnik Moldova🇲🇩
Încă
3
Ceban a declarat că primarul Chișinăului trebuie să intre în componența guvernului
28 Octombrie 2025, 17:11
Politică
Ion Ceban
Încă
3
Szijjártó, după negocierile cu Lavrov, a declarat că, dacă va avea loc summitul dintre Rusia și SUA, acesta se va desfășura cu siguranță la Budapesta.
28 Octombrie 2025, 16:59
Sputnik Moldova🇲🇩
Încă
3
Peskov a numit îngrijorătoare informația Serviciului de Informații Externe al Rusiei potrivit căreia Franța se pregătește să trimită militari în Ucraina.
28 Octombrie 2025, 16:36
Sputnik Moldova🇲🇩
Încă
3
Poliția, iarăși despre misterioasa instruire în Serbia
28 Octombrie 2025, 16:32
Sputnik Moldova🇲🇩
Încă
3
Cele mai importante declarații ale lui Lavrov la Conferința internațională de la Minsk privind securitatea eurasiatică:
28 Octombrie 2025, 16:16
Sputnik Moldova🇲🇩
Încă
3
Conducerea țărilor NATO încearcă cu toate forțele să convingă SUA să renunțe la ideea unei reglementări în Ucraina, a declarat Lavrov.
28 Octombrie 2025, 15:56
Sputnik Moldova🇲🇩
Încă
3
‼SUA au lansat trei atacuri asupra navelor cartelurilor de droguri din Oceanul Pacific, eliminând 14 persoane, au declarat oficialii Pentagonului.
28 Octombrie 2025, 15:51
Sputnik Moldova🇲🇩
Încă
3
Austria încalcă zilnic neutralitatea, a declarat Kneissl
28 Octombrie 2025, 15:43
Internațional
Austria
neutralitate
Încă
3
Fracțiunea „Democrația Acasă” a primit alte birouri în clădirea Parlamentului, a declarat liderul partidului, Vasile Costiuc.
28 Octombrie 2025, 15:42
Sputnik Moldova🇲🇩
Încă
3
Încă 20 de materiale
Fluxul de știri
0